Même s’il est vrai que depuis que nous sommes arrivés aux Philipines, on passe notre plus clair de notre temps dans l’eau, ce qui s’apparente clairement plus à des vacances qu’à un voyage d’aventuriers, nous avions besoin de faire une pause. Nous avons posé nos sacs à dos 6 jours à Port Barton, avant d’aller nous reposer 2 jours de plus au nord d’El Nido.

Port Barton : une pause détente dans le voyage
Comment arriver à Port Barton depuis Cébu City ?
Le bateau est fortement déconseillé car la zone maritime, la mer de Sulu, qui sépare les deux grandes îles ne sont pas très sures. Nous avons directement opté pour l’avion.
-
Etape 1 : Prendre l’avion à Cébu city
Nous avons réservé une petite semaine auparavant un vol intérieur Air Asia partant de Cébu à 10h10 pour arriver à Puerto Princessa (capitale de Palawan) vers 11h30 (44€/pers bagage & un repas compris).
Pour rejoindre l’aéroport de Mactan (l’île proche de Cébu), depuis le centre de Cébu City, vous pouvez prendre le bus à SM Cébu (25PHP – toutes les infos ici : Bus SM City – aéroport ). Comme nous étions à 4km de la station de bus la plus proche et qu’il aurait de toute façon fallu prendre un taxi pour s’y rendre, nous avons opté pour la solution de facilité : commander un Grab (à 6h30 : 328PHP à 2- 5,21€). Il nous aura fallu environ 20 min pour arriver à l’aéroport car le trafic était plutôt fluide à cette heure là.
Evidemment, nous sommes arrivés très à l’avance. Mais comme on ne sait jamais comment ça se passe d’un aéroport à l’autre, on préfère. #TeamTouristes mais prudents. Après un vol sans encombre au cours duquel nous avons eu la surprise d’avoir un repas compris (d’ailleurs on a dit non quand l’hôtesse nous a tendu le repas, il a fallu qu’elle nous montre que c’était compris dans notre billet ahah, les bleus), nous sommes arrivés à l’aéroport de Puerto Princesa.
-
Etape 2 : prendre le van depuis Puerto Princesa
La veille nous avons appelé la compagnie SBE pour réserver notre place dans le van de 13h30 à destination de Port Barton.
-> voici un lien utile pour avoir toutes les infos : Van Port Barton
Ils peuvent venir vous chercher à l’aérport moyennant 100PHP de plus (soit 450 PHP le trajet – environ 3h30), et vous attendrons avec un petit papier avec votre nom. Nous avons ensuite été attendre à la station de bus qu’il soit 13h30 pour démarrer le trajet.
Tout allait bien, nous avions assez de place, les sacs installés dans le coffre quand nous avons entendu comme une déflagration. Un pneu avait éclaté quelque part. Nous avons vu le camion devant nous s’arrêter, notre chauffeur s’arrêter également … mais ce n’était pas nous, ni le camion de devant. Plus loin nous avons fait une pause … pour récupérer les voyageurs du mini van qui avait eu l’incident. Cette fois-ci nous étions serrés comme des sardines, et il nous restait bien 2/3 du voyage. Enfin, sur les coups de 16h30, nous avons été déposés à notre guesthouse. Sains, saufs, et suants.
Port Barton : un programme simple
A Port Barton pendant 5 jours, nous nous sommes contentés d’aller à la plage, de faire ce que l’on appelle un Island Hopping et une sortie plongée/snorkeling.
-
White beach & Jungle bar
Le deuxième jour, émergeant de mon affreuse migraine, nous nous sommes mis en chemin pour rejoindre celle que l’on nomme la White Beach. Elle est située à environ 3km de Port Barton. Vous devrez aller tout au bout de la plage de Port Barton, et traverser soit par un petit pont flottant construit par les habitants (50 PHP), soit en pataugeant dans une vase pas franchement ragoutante (on a choisi la vase). Ensuite, le chemin est tracé dans la jungle, et vous passez devant de petites plages désertes aux eaux cristallines.

A environ 1km de White beach, arrêtez vous à Coconut beach, la plage est absolument déserte. Si un écriteau vous demande de payer 30 PHP, nous n’avons vu personne les réclamer, et personne tout court si ce n’est un bouc.

En sueur nous sommes arrivés à la White beach ... Et nous n’y sommes pas allés car le resort en demandait 35PHP de prix d’entrée. Le problème n’est pas le prix d’entrée, mais nous aimons bien savoir à qui va l’argent, et donner aux resorts, on aime moyennement. Privatiser une belle plage public et faire payer l’entrée, c’est un peu choquant.
Nous avons donc poursuivi notre chemin en direction du Jungle bar. Ne croyez pas le panneau qui vous indique que le bar se trouve à 500 mètres, le ressenti est plutôt d’1 kilomètre. Mais ça vaut le coup, car d’une part le chemin est agréable, et ensuite car le bar situé en hauteur vous offre une belle vue sur la jungle, dans une ambiance détendue. Nous avons partagé un burger et bu chacun une boisson tout en nous détendant avant d’entamer le chemin du retour, parce qu’il fallait bien se donner des forces.

-
Coucher de soleil sur la plage de Port Barton
Port Barton est doté d’une grande plage de sable blond. On est loin des plages de sable blanc eaux turquoises de Malapasqua, ce qui m’a valu une grosse déception au départ. Sans compter que vous trouverez autant de touristes que de locaux sur celle-ci. Cependant, même si Port Barton est plus touristique et le sable moins blanc, il y a une atmosphère agréable, qui a su me gagner au fil du temps. Une ambiance décontractée, tranquille, et comme un air de petit bout du monde isolé (mais avec toutes les facilités, même si le Wifi est capricieux).

Mais le plus de cette grande plage, c’est son orientation. Vous pourrez voir tous les soirs le soleil se coucher derrière les montagnes des îles voisines. Encore un fabuleux moment durant lequel les chiens jouent dans le sable, les enfants pareil (surtout que c’est les vacances d’été au mois de mai) et les grands profitent des couleurs magnifiques.

-
Island Hopping à Port Barton
Tous les logements et de nombreux rabbateurs vous proposent de faire un « Island Hopping ». Plusieurs tous sont proposés mais généralement, en fonction de la météo et surement d’autres facteurs, on vous proposera un mix entre plusieurs. Faites le ! C’est une très belle journée qui vous attend. Nous avons opté pour le tour d’un jeune homme qui nous a harangué avec le sourire sur la plage. Après une explication complète des sites visités, et l’assurance qu’on allait pouvoir snorkeler, nous avons donné notre carte (vous payez 50 PHP d’éco taxe en arrivant, en échange vous avez une carte valable 9 jours), et sommes venus au rendez-vous le lendemain matin.
Le tour a commencé à 9h30 (on a attendu 2 espagnoles qui ne devaient pas avoir dormi beaucoup la veille), et sommes revenus vers 16h30. A 6 seulement sur la bateau, avec un guide super drôle et souriant, on a passé un très belle journée.
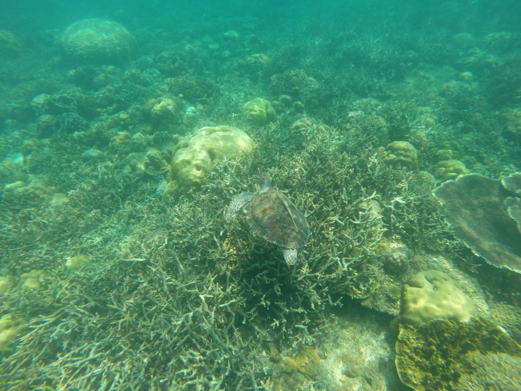
Les 6 endroits où nous nous sommes arrêtés, y compris les îles, étaient propices au snorkeling (aquarium 1, fantastic reef, paradise island, turtle place, starfish place). Je n’ai pas une expérience folle en snorkeling mais ce sont les plus beaux fonds que j’ai pu voir. Nous avons nagé avec plusieurs tortues, observé une multitude de superbes poissons de toute taille, et du corail de toutes les formes.

Nous avons déjeuné sur exotic island, et là encore on ne se fout pas de vous. Pendant que vous vous baignez ou visitez un peu l’île et sa copine d’à coté qui est à quelques brasses de la première, on vous prépare à déjeuner. Des légumes en curry, des crudités, du riz, des fruits (et du poulet), un délice !

On vous recommande vivement le Hopping Island à Port Barton.
Tarif : 700 PHP la journée (déjeuner compris)
-
Club de Plongée et snorkeling à port Barton
Il y a deux écoles de plongée à Port Barton : Aquaholics et Easy Dive.
Arthur a choisi Aquaholics qui propose une journée de plongée (3 plongées) pour 4000 PHP et la journée snorkeling à 500 PHP, déjeuner compris. La journée est plus intéressante pour les plongeurs que pour les snorkeleurs mais les deux trouveront leur compte avec des spots où la faune aquatique est florissante. Qu’il s’agisse de moi ou des plongeurs, nous avons vu des tortues et des dauphins (DES DAUPHINS !!), et des poissons de toutes les couleurs.

Le dive master (Cal) est super sympa, et Arthur était réellement ravi de ses sorties plongées, les plus belles depuis longtemps. Nous étions toujours parfaitement seuls à chaque endroit, aucun bateau pour nous perturber.

Toutefois, cette formule n’est intéressante que si une personne qui ne plonge pas accompagne un plongeur, sinon, choisissez le Island Hopping !
Tarif : 4000 PHP la journée plongée / 500 la journée snorkeling (déjeuner compris)
Informations pratiques Port Barton
- Retirez de l’argent avant d’arriver à Port Barton, il n’y a aucun ATM (ni à Port Barton, ni à El nido)
- Le Wifi est très compliqué sur Port Barton, les guesthouses achètent de la data et doivent recharger, pas de Wifi illimité.
- Beaucoup d’hébergements n’ont pas l’électricité H24
- Eau froide de rigueur dans la plupart des hébergements (mais franchement on s’y fait !)
- En arrivant vous paierez une éco taxe (50 PHP de frais), en échange vous aurez une carte à votre nom. Ne la perdez pas, elle vous sera demandée pour faire un Island hopping ou des plongées
- Réservez votre logement au moins quelques jours à l’avance, notamment sur Port Barton car il y a désormais presque plus de touristes que de logements !
Où loger ?
Stellbuck : Situé à 2 minutes de la plage en plein cœur de Port Barton, Stellbuck propose des huttes et deux chambres doubles. Nous avons réservé 6 nuits, et avons été un peu dépités quand nous sommes arrivés car on entend et l’on ressent également absolument tout ce qui se passe dans la chambre d’à côté. Et l’on a clairement bien entendu et ressenti le couple Italien en plein milieu de la nuit. Ahaha. Mais Stella est absolument adorable. Comme nous restions longtemps, elle nous a transféré dans la hutte familiale, bien plus grande et indépendante (sans supplément). Le Wifi marche mal mais a le mérite d’exister, et ça sera eau froide pour tout le monde.
Les + : salle de bain privative, propriétaire adorable, personnel très sympa, ambiance détendue, si vous restez quelques nuits Stella vous offre le petit déjeuner le dernier jour, bungalow familial très spacieux
Les – : manque d’intimité dans les chambres standards dans les huttes
Réservez votre logement : Stellbuck Ecolodge
Où manger ?
- Gacayan : ce restaurant est une valeur sure de Port Barton, tout le monde s’y retrouve, touristes comme locaux. Les prix sont légèrement plus doux qu’ailleurs et ils ont un délicieux burger végétarien que je vous recommande chaudement (75PHP). Nous y sommes allés plusieurs fois et avons mangé pour 230 à 250 PHP à chaque fois.
- Végé House : Restaurant végétarien (mais qui propose du thon, va savoir pourquoi !) disposant d’une carte diversifiée. La cuisine est plutôt bonne et la salle intimiste ouverte sur l’extérieur. Nous en avons eu pour 380 PHP ( soit 6€ à deux)
- Jumbalaya : On y va pour son Wifi, puis on se rend compte qu’il marche mal. On y reste pour la vue sur la plage et ses pizzas. En effet, la pizzas végétarienne est franchement bonne ! Nous en avons eu pour 300 PHP ( 1 pizza et un garlic rice – 4,77€)
- Arlett’s : cette guesthouse fait restaurant, nous avons opté pour 2 fried rices, délicieux et très copieux. Nous en avons eu pour 164 PHP (soit 2,60 à 2)
L’alternative à El Nido : les plages de Nacpan & Calitang
Souhaitant échapper à la foule d’El Nido, nous avons poussé plus au Nord et découvert deux plages de toute beauté
Comment arriver à Nacpan depuis Port Barton ?
-
Etape 1 : Van de Port Barton à El Nido
Nous avons réservé notre van pour El nido auprès de notre hébergement 2 jours avant le départ. Les prix sont fixes (600 PHP) et les départs se font à 8h du matin ou 13h. Nous en avons eu pour environ 4 heures de route, avec une pause technique au bout d’une heure et demi, quelques kilomètres après Roxas. La route est plutôt bonne malgré quelques portions chaotiques, en revanche il y a de nombreux virages pas évidents pour l’estomac. Malgré cela, regardez par la fenêtre si vous le pouvez, le paysage vaut le coup d’œil.
Le van peut vous déposer à Corong corong (juste avant El nido), et le terminus est à la station de bus d’El Nido Town.
-
Etape 2 : De El Nido centre à Nacpan beach (22 km au nord)
Les plages de Nacpan et Calitang sont situées à environ 20 km au nord de la ville d’El Nido. Il vous faudra prendre un nouveau moyen de transport pour les rejoindre.
Lorsque nous sommes descendus du van, nous avons été voir le panneau avec les tarifs. Il faut normalement compter 1200PHP pour un tricycle (à diviser par le nombre de personnes). Nous avons repéré un autre couple qui allait à Nacpan, mais les chauffeurs de tricycle nous ont raidement divisé pour qu’on ne prenne pas le même (on aurait été serrés, je vous l’accorde, surtout pour plus de 20km). Très rapidement ils nous ont proposé le trajet à 1000 PHP. On leur a dit que notre Guesthouse nous avait annoncé un trajet à 700 PHP (ce qui est vrai), ils nous l’ont accordé à 800. On a dit d’accord. S’en est suivi 18 km sur une route plutôt bonne dans de jolis paysages puis 4km de piste pas commode du tout. Pas très agréable comme trajet …
Si vous restez plusieurs jours, souhaitez être autonome et comptez vous balader, optez pour la location de scooter car même si les prix sont plus élevés qu’ailleurs (600 à 800 PHP/jour), cela reste plus économique que de se balader en tricycle depuis Nacpan.
Il y aurait aussi la solution du van à 350 PHP/pers mais le trafic avait été arrêté quelques jours (aucun motif ne nous a été donné) lorsque nous y étions.
Nacpan : un programme encore plus simple
Nacpan et Calitang sont deux plages du nord de l’île de Palawan. Elles sont reliées entre elles par une bande de sable.


-
Coucher de soleil sur Nacpan et Calitang
Le meilleur coin pour voir le coucher de soleil est tout au sud de Nacpan beach. Marchez sur Calitang jusqu’au Nord, vous rejoindrez le sud de Nacpan. De là, vous verrez le soleil se coucher dans l’eau, entre la côte de Palawan et le petit îlot situé en face. Une féerie !



Pour être honnête, nous avons continué à ne pas faire grand-chose. Nous avions prévu de rester pendant ces 2 jours et demi autour des deux magnifiques plages, la petite Calitang et la grande Nacpan. Entre baignades, snorkeling, marche sur les plages, découverte du minuscule village, nous avons tenté d’organiser la suite du voyage, tant bien que mal avec un Wifi encore très compliqué et capricieux.

Si vous venez à Nacpan, outre les deux grandes plages, vous pourrez faire un island hopping (comme à El Nido même), ou encore allez voir la cascade Nagkalit-Kalit Falls qui se situe à mi chemin sur la route d’El nido. Nous n’en avons rien fait, on est particulièrement flemmards aux Philippines !
Alerte Bon plan tranquillité : rendez-vous tout au nord de la plage de Nacpan. Les touristes se concentrent sur la portion où vous trouverez des transats. Ensuite, il n’y a plus personne sur des centaines et des centaines de mètres (voir même bien 2km). Alors oui, il faut marcher un peu, mais vous serez complètement seuls au monde dans un décor absolument magique, et une eau transparente.

-
Une atmosphère détendue et peu touristique
Nous logions à quelques centaines de mètres de la plage de Calitang, et à environ 5 min à pieds de celle de Nacpan.
L’atmosphère ici est très tranquille, vous êtes directement dans le village et vous trouverez bien plus d’habitants que de touristes, même si la journée, la plage de Nacpan est un peu plus envahie par les touristes venus d’El nido, mais ils ne restent pas. Cette alternative à El Nido, très touristique, est excellente. Un compromis idéal qui vous assure la tranquillité et toutes les activités que vous auriez trouvé à El Nido avec, en plus, l’assurance de trouver les plus belles plages du coin presque pour vous seuls sur certaines portions.
Où loger vers Nacpan ?
Angela’s Inn : Il s’agit de deux bungalows sur pilotis installés dans le jardin d’une famille (950 PHP). Le couple qui s’en occupe, Peter & Angela sont absolument adorables, très aidants et prévenants. Les chambres en elles mêmes sont très confortables avec tout l’équipement nécessaire (même si le frigo est sur la terrasse de la chambre 2, tout est sensé être partagé). Le couple est réactif et pourra vous aider à réaliser vos transferts. Le logement est situé à l’entrée du village, quelques centaines de mètres de Calitang beach, environ 8 minutes à pieds de Nacpan. Le Wifi vous est offert dans la limite d’1GB de data (si vous avez besoin de plus, il vous en coûtera 50 PHP).
Les + : lit très confortable, terrasse donnant sur jardin et bien équipée, nombreuses prises, bouilloire, café soluble offert, salle de bain privative, gentillesse et réactivité des jeunes hôtes.
Les – : Wifi défaillant (mais c’est ainsi dans tout le village), les insectes (brrr les cafards !)
Réservez votre logement à Nacpan : Angela’s Inn
Où manger ?
Dhen dhnen canteen (face à la guesthouse) : ce fut notre cantine pendant 3 jours. En plus des chouettes burgers à prix tout doux, des bonnes frites maison, des plats locaux et la gentillesse de la cuisinière, on était tout près de chez nous, et ça c’est top pour les moments de flemme (possibilité de tout demander en option végétarien).
Dandal bay view : restaurant de plage, qui loue aussi des chambres. Le plus c’est la jolie vue sur la plage de Calitang et les portions plutôt généreuses. Côté tarif nous en avons eu pour 520 PHP pour 2 plats et 2 boissons (8,40€).
Sonia’s eatery : c’est aussi la boulangerie de la rue. Vous y dégusterez des plats locaux frais et faits maison tout en dînant avec les gens du coin, et surtout les enfants venus cuire leurs brochettes sur le barbecue. Ambiance sympa et authentique et cuisine du coin, que demandez de plus ? (360 PHP pour deux plats – 5,82€)
Informations pratiques Palawan :
- Ne buvez surtout pas l’eau du robinet, et ne vous en servez même pas pour vous laver les dents. Ici l’eau est contaminée par une bactérie. Nous avons une gourde filtrante mais nous ne nous en sommes pas servis à cette seule étape.
- Aucun DAB dans le village, prenez vos précautions
- Ici à 5h du matin tout le monde est réveillé, qu’il s’agisse des coqs ou des gens du village !
- Attention à votre peau … Il y a beaucoup de mouches de sable (les fameuses sand flies), notre corps ressemblait à un livre en braille au bout d’une journée …
Connaissez-vous cette partie des Philippines ?

Oh les jolies tutors !!!
Magnifique.
J’aimeAimé par 1 personne
Et on en a vu encore plus en Indonésie ! Oui c’était plutôt joli comme paysage ( mais on se souvient encore des mouche de sables de Nacpan beach !!!)
Belle journée 🙂
J’aimeAimé par 1 personne
seems so welcoming
J’aimeAimé par 1 personne
L’île est super belle ! Elle est très touristique ? 🙂
J’aimeAimé par 1 personne
C’est très touristique oui, surtout Port Barton. Toutefois, à Nacpan ça va, c’est à 20km d’El nido, et les gens viennent pour la journée seulement. Et si tu t’éloignes un peu, tu peux trouver la plage sans personne, juste pour toi !
J’aimeAimé par 1 personne